松戸市根本 建築条件付売地

3,790万円

千葉県松戸市根本

常磐線「松戸」駅徒歩8分

京成電鉄松戸線「上本郷」駅徒歩23分

常磐緩行線「北松戸」駅徒歩24分

価格
3,790万円
土地面積(坪数)
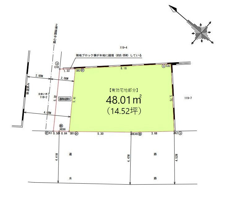
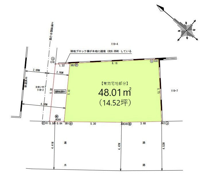
48.01㎡(14.52坪)
所在地
千葉県松戸市根本
築年
-(-)
駐車
-
交通

常磐線松戸」駅 徒歩8分

京成電鉄松戸線上本郷」駅 徒歩23分

常磐緩行線北松戸」駅 徒歩24分

松戸市根本 建築条件付売地の基本情報

物件名
松戸市根本 建築条件付売地
価格
3,790万円
土地面積
48.01㎡
築年月
-(-)
総区画数
1区画
所在地
千葉県松戸市根本
交通

常磐線松戸」駅 徒歩8分

京成電鉄松戸線上本郷」駅 徒歩23分

常磐緩行線北松戸」駅 徒歩24分

松戸市根本 建築条件付売地の詳細情報

設備条件
設備(その他)
    -
駐車場/月額
-/-
土地権利
所有権
国土法届出
不要
用途地域
近隣商業
区画数
1区画 / 1戸
管理形態
-
管理員の勤務形態
-
管理会社
-
取引態様
仲介
引渡し
相談
開発許可番号
-

松戸市根本 建築条件付売地で募集中の物件

  1. 14.52坪 (48.01㎡)

    3,790万円(261.02万円/坪)

周辺施設

  • まいばすけっと 松戸古ケ崎店の画像

    スーパー

    まいばすけっと 松戸古ケ崎店

    161m(3分)

  • 松戸市立北部小学校の画像

    小学校

    松戸市立北部小学校

    606m(8分)

  • 松戸市立第一中学校の画像

    中学校

    松戸市立第一中学校

    1346m(17分)

よく見られている物件

  1. 土浦市大手町

    - (244.00㎡)

    1,850万円

  2. 桜川市犬田

    - (301.00㎡)

    850万円

  3. 松戸市根本

    - (48.01㎡)

    3,790万円

松戸市根本 建築条件付売地

お気軽にお問い合わせください

LINEからお問い合わせ 無料お問い合わせ

リバティーホーム

029-825-3570

10:00~19:00

(休:水曜日)